Blattläuse auf Apfel: Wichtige Arten sind Mehlige Apfelblattlaus (Dysaphis plantaginea), Grüne Apfelblattlaus (Aphis pomi), Zitronenlaus (Aphis citricola), Apfelfaltenlaus (Dysaphis devecta) und Apfelgraslaus (Rhopalosiphum insertum)
Die Lebensweise der wirtschaftlich bedeutenden Blattlausarten auf Apfel ist sehr ähnlich. Die Überwinterung erfolgt als schwarzes, längliches Ei (Abb.6). Im Frühjahr schlüpfen aus den Wintereiern die ersten Stammmütter. Diese gebären Jungläuse. Die Vermehrung während der gesamten Vegetationszeit erfolgt durch Lebendgebärung. Zur Ausbreitung über weitere Distanzen treten ab dem Frühsommer auch geflügelte Individuen auf.
Erst im Sommer treten Männchen auf. Von den befruchteten Weibchen werden im Herbst Wintereier abgelegt.

Schadbild
Mehlige Apfelblattlaus (Dysaphis plantaginea)
Ist die gefährlichste Blattlausart im heimischen Apfelanbau. Sie verursacht Blattrollungen quer zur Mittelrippe (siehe Abbildung). Durch ihre Saugtätigkeit können in Befallsherden auch stark verkrüppelte Früchte (sogennante Lausäpfel, siehe Abbildung) sowie Deformationen an den Trieben auftreten. Die größten Schäden werden schon frühzeitig, während und kurz nach der Blüte verursacht.
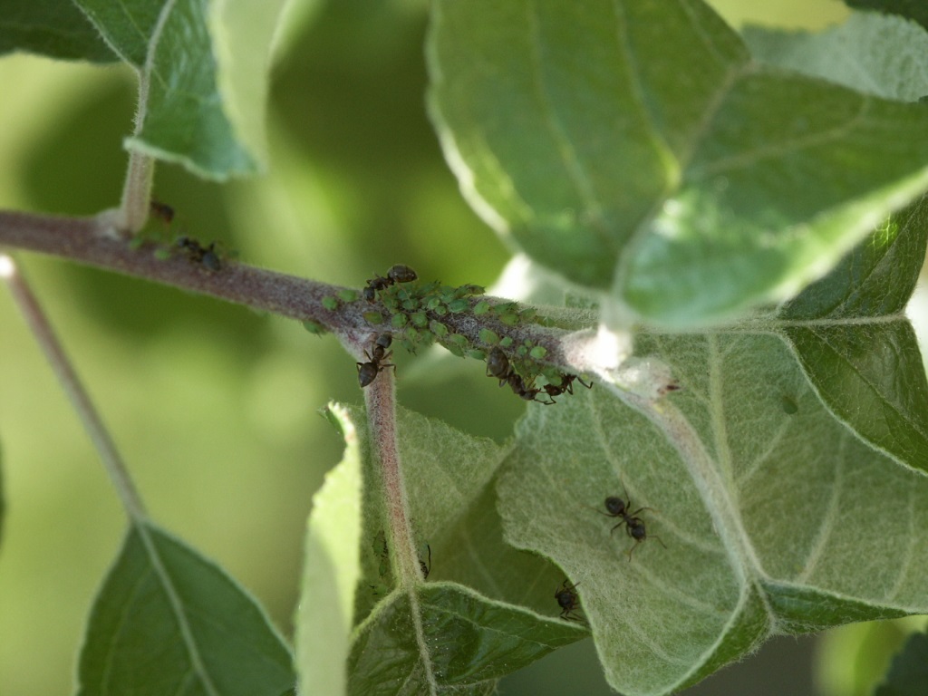
Grüne Apfelblattlaus (Aphis pomi)
Durch die Saugtätigkeit kommt es zu stärkeren Blattdeformationen, vor allem an der Triebspitze (siehe Abbildung). Durch die Absonderung von Honigtau wird die Besiedelung von Schwärzepilzen gefördert (siehe Abbildung). Triebverkrümmungen werden nicht verursacht.
Zitronenlaus (Aphis citricola)
Wie bei der Grünen Apfelblattlaus verursacht diese Art keine Triebverkrümmungen. Allerdings ist bei der Zitronenlaus die Produktion von Honigtau deutlich geringer. Kolonien findet man nur an krautigen Triebspitzen (siehe Abbildung).
Apfelgraslaus (Rhopalosiphum insertum)
Die Apfelgraslaus ist wirtswechselnd und nur selten bekämpfungswürdig. Durch das frühe Auftreten dieser Laus kann sie sogar zum Aufbau einer Nützlingspopulation förderlich sein.Erreger/Lebensweise
Mehlige Apfelblattlaus (Dysaphis plantaginea)
Die 'Mehlige Apfelblattlaus' ist grau-rötlichbraun gefärbt und mit mehlig-weißem Wachsstaub überzogen (siehe Abbildung). Der Schlupf der sogenannten Stammmütter aus den Wintereiern erfolgt schon vor der Blüte im Stadium 'Grüne Knospe' bis 'Rote Knospe' (ca. 100 Gradtage auf Basis von 4,5°C). In weiterer Folge kommt es zu einer sehr raschen Vermehrung durch Parthenogenese. Im Sommer wandert ein Großteil der Blattläuse auf Wegerich ab. Im Herbst kehrt sie zurück und es werden Wintereier bevorzugt in Rindenritzen und an der Knospenbasis abgelegt.
Grüne Apfelblattlaus (Aphis pomi)
Die Läuse sind intensiv grün gefärbt, haben schwarze Beine und dunkle Hinterleibsröhrchen (siehe Abbildung). Im Gegensatz zur 'Mehligen Apfelblattlaus' sind sie nicht wirtswechselnd.
Zitronenlaus (Aphis citricola)
Ist mit der 'Grünen Apfelblattlaus' eng verwandt und äußerlich nur schwer von dieser zu unterscheiden (siehe Abbildung). Eine stärkere Besiedelung der Apfelbäume erfolgt erst wenige Wochen nach der Blüte. Mit dem Triebabschluss wandert die 'Zitronenlaus' wieder ab.
Apfelgraslaus (Rhopalosiphum insertum)
Die adulten Tiere sind hellgrün mit zwei dunklen Streifen auf der Rückseite. Die Apfelgraslaus ist wirtswechselnd und nur selten bekämpfungswürdig. Durch das frühe Auftreten dieser Laus kann sie sogar zum Aufbau einer Nützlingspopulation förderlich sein.